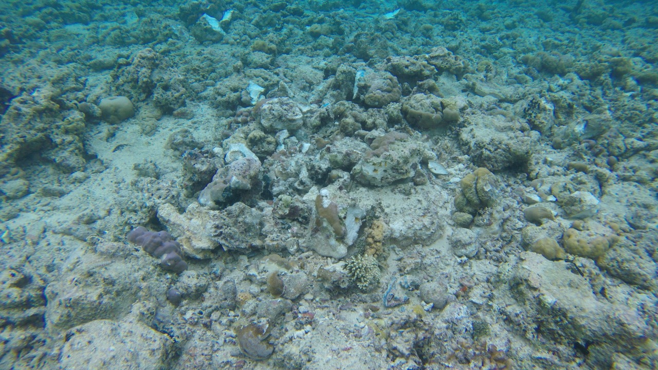
Jelang 27 tahun usia penetapannya, Taman Nasional (TN) Bunaken, Sulawesi Utara, menerima kado pahit. Sebuah kapal yang mengangkut wisatawan kandas di Ron’s point, salah satu lokasi menyelam di kawasan tersebut pada Sabtu (6/10/2018). Peristiwa itu berdampak rusaknya ekosistem karang, dengan luasan sekitar 190 m2.
Ron’s Point terletak di bagian barat pulau Bunaken. Ia disebut-sebut sebagai salah satu tempat selam favorit bagi penyelam profesional karena komposisi karang yang tergolong bagus dan memiliki jenis ikan yang beragam.
Kabarnya, ketika kapal menggerus lokasi terumbu karang, beberapa penyelam dan wisatawan menyaksikan itu. Sehingga, tanpa penanganan dan penyelesaian yang baik, peristiwa ini dikhawatirkan berdampak pada tingkat kepuasan dan kepercayaan wisatawan yang berkunjung ke Bunaken.
baca : Dari Sabang Sampai Merauke, Hancur Terumbu Karang Tanah Airku


“Peristiwa ini mencederai nama baik, dan bisa menimbulkan interpretasi yang tidak baik untuk promosi Bunaken ke luar negeri. Tata kelola dan manajemen pariwisata bahari bisa juga dinilai tidak kompeten,” terang Arjun Langitan, ketua Himpunan Masyarakat Peduli Bunaken, kepada Mongabay Indonesia, Kamis (11/10/2018).
Lewat kejadian ini, otoritas berwenang diharapkan segera membenahi tata kelola dan manajemen di kawasan TN Bunaken. Sebab berdasarkan pemantauan Arjun, nyaris tiap hari tindak pelanggaran bisa disaksikan di kawasan itu. Namun, persoalan menjadi semakin pelik karena pengawasan yang dianggap kurang maksimal.
“Ada pelanggaran-pelanggaran yang tidak ditangani dengan baik. Masih banyak orang snorkeling, dengan tidak ramah lingkungan, misalnya jalan di atas karang. Hampir tiap hari pelanggaran tadi bisa disaksikan,” ujarnya.
“Segera tangani kasus ini sejelas-jelasnya karena akan jadi contoh buat yang lain. Pelanggaran di Taman Nasional Bunaken sudah banyak terjadi,” lanjut Arjun. “Ada UU No.5/1990 tentang konservasi. Berpegangan saja pada itu. Kalau ada nilai ekonominya, harus dikembalikan pada masyarakat.”
baca juga : Pengkayaan Karang dan Bakau untuk Perbaiki Kondisi Taman Nasional Bunaken. Seperti Apa?


Roger Lantang, ketua Ikatan Sarjana Kelautan Unsrat menduga, peristiwa itu disebabkan belum tersertifikasinya awak kapal dan minimnya pengetahuan mereka terkait lokasi terumbu karang. Masalah lain adalah belum tegasnya orientasi lokasi terumbu karang, serta jalur lintas transportasi laut.
Menurut dia, faktor-faktor itu harusnya jadi pemicu bagi Balai TN Bunaken (BTNB) untuk lebih giat melakukan patroli, memeriksa dan membimbing operator kapal. “Saya kurang tahu apakah sudah ada (aturan mengenai) jalur lintas, tapi perlu dipertegas. Bukan hanya untuk kapal menyelam, tapi untuk semua yang melintas di sana. Kalau ditata, mereka akan disiplin,” terang Roger.
Dia berharap, BTNB sebagai otoritas pengelola Bunaken menginvestigasi sesuai peraturan yang berlaku, sehingga peristiwa serupa tidak terulang. “Kalau memang butuh pendapat, kami bisa memberi masukan, karena ada beberapa anggota yang punya kompetensi terkait terumbu karang. Kami bisa menyumbang lewat hasil-hasil riset.”
menarik dibaca : Manado Bay, Alternatif Wisata Hemat Yang Mengagumkan


Tindakan BTNB
Menyikapi kejadian ini, BTNB telah menempuh sejumlah langkah. Senin (8/10/2018), mereka langsung melayangkan surat pada PT Manado Maju Wisata, selaku operator kapal wisata tersebut.
Surat itu juga merupakan laporan pada Gubernur Sulawesi Utara dan Direktur Jendal Konservasi Sumber Daya Alam dan Ekosistem (KSDAE), Kementerian Lingkungan Hidup dan Kehutanan, serta SKPD dan instansi terkait.
BTNB menghimbau kepada PT Manado Maju Wisata untuk memberi sanksi kepada motoris kapal Crystal 7, tidak memperkenankan kapal berlayar di kawasan TN Bunaken, serta bertanggungjawab atas kerusakan terumbu karang.
Mereka juga mengingatkan operator wisata untuk berhati-hati dalam tur wisata di kawasan TN Bunaken, serta mematuhi peraturan yang berlaku.
“Tidak menginjak karang, tidak membuang jangkar di terumbu karang, tidak membuang sampah sembarang, melakukan kegiatan diving dengan baik, aktivitas snorkeling dan discovery scuba dive pada lokasi yang ditentukan, serta tidak melakukan pelayaran pada rataan terumbu,” terang Farianna Prabandari, Kepala Balai Taman Nasional Bunaken.
baca juga : Bolaang Mongondow Selatan, Primadona Wisata Underwater Baru

Hingga saat ini, BTNB masih melakukan kajian lebih lanjut dengan melibatkan perguruan tinggi sesuai bidang keahlian dan kompetensi. Mereka juga berkonsultasi dan meminta arahan Dirjen KSDAE menyangkut proses pemulihan dan tindakan lain yang dipandang perlu.
Peristiwa ini turut mendorong BTNB untuk segera menyelesaikan proses pembuatan peta laut. Kata Farianna, peta laut akan mengatur alur navigasi, kedalaman, serta lokasi mana yang boleh dan tidak boleh dilewati.
“Dari kejadian ini, peta laut akan segera difinalisasi dan disosialisasikan. Prosesnya sejak bulan Maret. Tapi terlepas dari itu, semestinya (pengemudi kapal) tahu, tapi tidak dipatuhi,” ujarnya ketika dihubungi Mongabay, Senin (15/10/2018).
Ketika dimintai tanggapan terkait kontrol dan pengawasan di kawasan TN Bunaken, pihaknya mengaku selalu melakukan patroli di perairan TN Bunaken. Hanya saja, pada saat kejadian tim patroli sedang tidak berada di lokasi. Kemudian, terkait sertifikasi pemandu wisata, Farianna mengatakan, “Untuk pemandu wisata, kami hanya mengeluarkan izin usaha jasa wisata. Bukan kewenangan kami menerbitkan sertifikasi.”
Gerusan kapal Crystal 7 di lokasi Ron’s point telah mengakibatkan kerusakan ekosistem karang pada tingkatan kelompok dan koloni, dengan klasifikasi sedang dan besar. Luas kerusakan sekitar 190 m2, dengan rincian, panjang 68 m dan lebar rata-rata 2,8 m.
“Kita ketahui bersama, karang memiliki pertumbuhan yang sangat lambat, apalagi yang mengalami kerusakan adalah karang massive dan sub massive. Dampak yang ditimbulkan atas kerusakan karang itu terganggunya keseimbangan ekosistem, serta mempengaruhi tingkat kepuasan wisatawan,” terangnya.
baca juga : Asyiknya Selfie dan Menyelam di Desa Tumbak Sulut

27 Tahun Penetapan
15 Oktober 1991, 27 tahun lalu, Menteri Kehutanan lewat SK No.730/1991 mengubah status Cagar Alam Laut menjadi Taman Nasional di wilayah perairan Bunaken. Selanjutnya, 24 Desember 1992, Presiden Soeharto meresmikan TN Bunaken di Bongohulawa.
TN Bunaken terletak di pusat segitiga terumbu karang dunia. Kawasan ini dikarunia keanekaragaman hayati berupa terumbu karang seluar 11.709 ha, yang terdiri dari 390 spesies, hutan mangrove seluas 2.434 ha dengan 28 spesies, serta pada lamun seluas 5.108 ha yang terdiri dari 9 spesies.
Kekayaan alam itu belum ditambah dengan lebih dari 2000 spesies ikan karang, 200 spesies moluska, 8 spesies mamalia laut seperti duyung, lumba-lumba dan penyu. Di sekitar teluk Manado juga masih bisa ditemukan ikan purba (Coelacanth/ Latimeria manadoensis). Di wilayah darat, terdapat spesies seperti yaki (Macaca nigra), kuskus, tarsius, rusa serta pulau ular di Mantehage.
Pada 2005, Indonesia mendaftarkan TN Bunaken pada UNESCO (United Nations of Educational, Scientific, and Cultural Organization), sebagai situs warisan dunia. “Mari kita kembalikan kejayaannya sebagai pusat ekowisata bahari berbasis keanekaragaman hayati,” tambah Farianna.
